Cyclobalanopsis – The Evergreen Oaks of the East

in #photography2 days ago

IMG_20251018_191341.jpg

Cyclobalanopsis, often known as the “ring-cupped oaks,” is a fascinating genus of evergreen trees
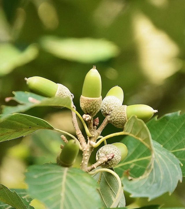
belonging to the beech family, Fagaceae. Native primarily to East and Southeast Asia, these majestic trees can be found in China, Japan, Taiwan, Vietnam, and parts of the Himalayas. Known for their distinct acorn cups adorned with concentric rings, Cyclobalanopsis species are not only botanically intriguing but also ecologically significant, forming an essential part of forest ecosystems in their native regions.

One of the defining features of Cyclobalanopsis trees is their evergreen nature, which allows them to maintain lush green foliage throughout the year. Their leaves are typically leathery, glossy, and oval-shaped, providing shade and shelter for various wildlife species. The acorns, which are smaller than those of typical oaks, are encased in uniquely patterned cups that resemble scales or circular ridges—hence the name “ring-cupped.” This distinctive characteristic sets them apart from other members of the oak family.

IMG_20251018_191329.jpg

IMG_20251018_191317.jpg

IMG_20251018_191256.jpg

In their natural habitats, Cyclobalanopsis trees play a vital ecological role. They provide food for birds, squirrels, and other forest animals, while their dense canopies help stabilize the soil and maintain local humidity. These trees often dominate subtropical and temperate forest zones, forming mixed woodlands alongside maples, magnolias, and camphor trees. Their deep-rooted systems also make them valuable in preventing soil erosion and supporting watershed health.

From a botanical perspective, Cyclobalanopsis is an interesting subject of study because of its evolutionary relationship with Quercus, the true oaks. Some taxonomists consider Cyclobalanopsis a distinct genus, while others classify it as a subgenus of Quercus. Regardless of classification, its species exhibit remarkable diversity, with over 100 known varieties differing in leaf shape, bark texture, and habitat preferences. This diversity reflects the genus’s adaptability and long evolutionary history across different Asian climates.

In traditional Asian cultures, these trees hold quiet significance. Their strong, durable wood is used locally for construction, furniture, and charcoal production, while their shade and resilience have earned them a place in temple gardens and mountain forests. In Japan and China, ancient Cyclobalanopsis groves are sometimes regarded as sacred, symbolizing endurance and the interconnectedness of life within nature.

Overall, Cyclobalanopsis stands as a symbol of stability and natural balance. Its evergreen vitality, ecological importance, and deep cultural ties make it a remarkable genus worthy of appreciation. Whether admired for its unique acorn cups or its role in sustaining forest life, the ring-cupped oak reminds us of nature’s intricate design and the quiet strength found in the world’s ancient trees.

images (1) (10).jpeg